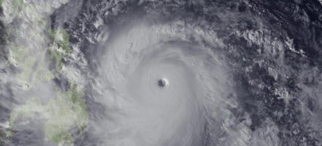
Unos 300 vuelos domésticos e internacionales han sido cancelados a causa del tifón Nock-Ten que azota Filipinas con vientos sostenidos de 130 kilómetros por hora y rachas de hasta 215, informaron las autoridades filipinas.
El aeropuerto Ninoy Aquino de Manila, el más importante y con mayor tráfico del país, es el más afectado por las cancelaciones a raíz de que las autoridades suspendieran todos los aterrizajes y despegues debido a vientos superiores a los 50 nudos (93 kilómetros por hora).
Según datos aportados a los medios por Aviación Civil, al menos 60 mil personas han sido afectadas por la cancelación y el retraso de las operaciones aeroportuarias.
El tifón, que tocó tierra el domingo en el este de la región central del país, también ha afectado al transporte marítimo al dejar varados a unos 12 mil pasajeros, según el comunicado emitido esta mañana por el departamento de emergencia.
Nock-Ten, que se mueve a una velocidad de 20 kilómetros por hora en dirección noroeste, pierde intensidad a medida que avanza por el archipiélago y pasará durante la jornada de hoy cerca de Manila, conforme a la predicción del servicio meteorológico.
La Oficina de Defensa Civil de la región de Bícol, donde tocó tierra ayer el fenómeno meteorológico, estima que cerca de 320 mil personas pasaron la noche de Navidad en los recintos deportivos y escuelas auspiciados por el Gobierno.
Las autoridades no han informado sobre fallecidos o heridos a causa del Nock-Ten, ni ha cuantificado los posibles daños que ha ocasionado. El tifón, según las previsiones, permanecerá en Filipinas hasta el martes y abandonará el miércoles sus aguas territoriales.
Las autoridades declararon el estado de alerta para una docena de provincias, donde el paso del tifón está provocando fuertes lluvias en las zonas ubicadas dentro de unos 400 kilómetros alrededor del mismo, que a su vez podrían acarrear inundaciones y corrimientos de tierra en zonas montañosas.
También alertaron a la llegada del tifón sobre una subida del nivel del mar, estimada en 2.5 metros, que amenazó a las localidades costeras de cinco provincias.
Nock-Ten es el tercer tifón en la historia de Filipinas que afecta a este país durante las fechas navideñas, tras los tifones Lee (1981) y Jean (1947), ambos de categoría dos.
Entre 15 y 20 tifones recorren todos los años Filipinas durante la temporada lluviosa, que empieza por lo general en junio y concluye en noviembre.
El pasado octubre, el tifón Haima, que alcanzó el rango máximo de categoría cinco, causó 19 muertos y obligó a la evacuación de más de 100 mil personas durante su paso por el norte de país.
En noviembre de 2013, el tifón Haiyan, uno de los más potentes de la historia por tocar tierra con rachas de viento de hasta 315 kilómetros por hora, causó seis mil 300 muertos, más de mil desaparecidos y 14 millones de damnificados en la región central de Filipinas.
Fuente: Informador
Líder en noticias de aviación
